نشان دیوار

وب‌اپلیکیشن یا PWA دیوار سرویسی است که نصب آن، استفاده از دیوار را بدون نیاز به دانلود اپلیکیشن و به‌روز‌رسانی و تنها با کلیک روی آیکون آن فراهم می‌کند. در نسخهٔ وب‌اپلیکیشن نیازی به دانلود و به‌روزرسانی نیست و کاربران iOS و اندروید با دسترسی‌ به آیکون اپلیکیشن در کنار سایر اپ‌های موبایل خود می‌توانند از آن استفاده کنند.


۱. در نوار پایین روی دکمهٔ share بزنید.

۲. در منوی باز شده، گزینهٔ Add to home screen را انتخاب کنید.

۳. در قسمت بالا روی دکمهٔ Add بزنید.

نشان دیوار


بیشترین جستجوهای دیوار
خودروی سواریفروش آپارتماناجاره آپارتمانموبایلصندلی و نیمکتحیواناتوسایل شخصیخدماتاستخدامتلویزیون
چت و تماس
  1. املاک
  2. فروش مسکونی
  3. فروش زمین و ملک کلنگی
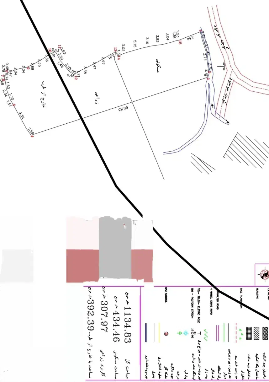
  4. زمین کاسبی، ۱۱۳۵ متر با ویوی ابدی، روستای دراپشتان

زمین کاسبی، ۱۱۳۵ متر با ویوی ابدی، روستای دراپشتان

۲۳ ساعت پیش در لاهیجان، بازکیاگوراب، خ آقاسیدحسین ۴

    زنگ خطرهای قبل از معامله


    متراژ

    ۱۱۳۵ متر


    قیمت کل

    ۲،۵۰۰،۰۰۰،۰۰۰ تومان


    قیمت هر متر

    ۲،۲۰۲،۰۰۰ تومان


    توضیحات

    فروش زمین ویودار جاده لاهیجان به سیاهکل/روستای دراپشتان ⚠️یک زمین به متراژ ۲۲۶۷ متر برای فروش میباشد که به ۲قطعه نیز تفکیک شده و یک قطعه آن با قیمت ۲/۵۰۰/۰۰۰/۰۰۰ به انتخاب شما به فروش میرسد⚠️ قطعه اول: ۱۱۳۳ متر ۳۸۴/۵ متر مسکونی ۲۸۴/۵ متر داخل طرح ۴۶۴ متر خارج طرح قیمت ۲/۵۰۰/۰۰۰/۰۰۰ قطعه دوم: ۱۱۳۵ متر ۴۳۴/۵ متر مسکونی ۳۰۷ متر داخل طرح ۳۹۲ متر خارج طرح قیمت ۲/۵۰۰/۰۰۰/۰۰۰ ⚠️در صورت نیاز خریدار به هر دوقطعه قیمت آن متفاوت میباشد. کل زمین ۲۲۶۷ متر با قیمت ۵/۵۰۰/۰۰۰/۰۰۰ بفروش میرسد. فاصله تا جاده اصلی لاهیجان به سیاهکل حدوداً ۴۰۰ متر مدارک شورایی و تکمیل میباشد. ⚠️لطفا فقط خریدار واقعی تماس بگیرد. (فروش فقط بصورت نقد میباشد و معاوضه تحت هیچ شرایطی امکان پذیر نیست)

    تصویر 1 از 3
    زمین کاسبی، ۱۱۳۵ متر با ویوی ابدی، روستای دراپشتان|فروش زمین و ملک کلنگی|لاهیجان, بازکیاگوراب|دیوار
    زمین کاسبی، ۱۱۳۵ متر با ویوی ابدی، روستای دراپشتان|فروش زمین و ملک کلنگی|لاهیجان, بازکیاگوراب|دیوار
    زمین کاسبی، ۱۱۳۵ متر با ویوی ابدی، روستای دراپشتان|فروش زمین و ملک کلنگی|لاهیجان, بازکیاگوراب|دیوار
    زمین کاسبی، ۱۱۳۵ متر با ویوی ابدی، روستای دراپشتان|فروش زمین و ملک کلنگی|لاهیجان, بازکیاگوراب|دیوار
    زمین کاسبی، ۱۱۳۵ متر با ویوی ابدی، روستای دراپشتان|فروش زمین و ملک کلنگی|لاهیجان, بازکیاگوراب|دیوار
    زمین کاسبی، ۱۱۳۵ متر با ویوی ابدی، روستای دراپشتان|فروش زمین و ملک کلنگی|لاهیجان, بازکیاگوراب|دیوار

    یادداشت تنها برای شما قابل دیدن است و پس از حذف آگهی، پاک خواهد شد.

    موقعیت مکانی

    گزارش آگهی


    دربارهٔ دیوار
    دریافت برنامه
    اتاق خبر
    دیوار حرفه‌ای

    گزارش آسیب‌پذیری
    دیواری شو
    پشتیبانی و قوانین